Dive 1
Sarah Intro Dive
Nic & Anu (Canadians)
Depth: 14m
Time In: 3:00pm
Air In: 200bar
Bottom Time: 29min
Time Out: 3:30pm
Air Out: 110bar

Getting in for our Dive with Gili Air and Lombok in the Background

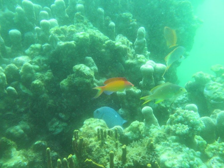
Stunning bright fish (need to edit some photos when I get home – very green)